Menu
Grundstück
Fire Icon15

Attraktives Baugrundstück ca. 290 qm für eine Doppelhaushälfte – ruhige Sackgassenlage von Köln-Wahn

Kaufpreis 275.500 €
Grundstück
ca. 290 m²

Objektbeschreibung

In ruhiger und familienfreundlicher Wohnlage von Köln-Wahn bietet sich die Gelegenheit, ein attraktives Baugrundstück für die Errichtung einer Doppelhaushälfte zu erwerben. Die Lage in einer verkehrsberuhigten Sackgasse überzeugt durch ein gepflegtes, überwiegend von Einfamilienhäusern geprägtes Umfeld und bietet ideale Voraussetzungen für ein entspanntes Familienleben.

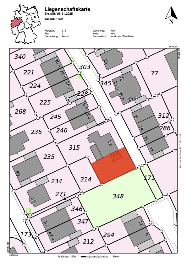
Das angebotene Grundstück ist derzeit noch Bestandteil eines größeren Gesamtgrundstücks, das aktuell mit einem Einfamilienhaus und angrenzender Garage bebaut ist. Die Grundstücksteilung wird durch die Verkäufer angestoßen und durchgeführt, sodass ein eigenständiges Baugrundstück mit einer geplanten Größe von ca. 290 m² entsteht.

WeiterlesenWeniger anzeigen

Ausstattung

Nach erfolgter Teilung steht das bestehende Wohnhaus auf der Grundstücksgrenze. Auf dem neu entstehenden Grundstück ist daher die Errichtung einer Doppelhaushälfte vorgesehen, die direkt an das Bestandsgebäude angebaut wird. Im Zuge der baulichen Umsetzung werden die entsprechenden Anpassungen am bestehenden Gebäude vorgenommen; vorhandene Öffnungen wie Fenster werden fachgerecht verschlossen und das Gebäude entsprechend umgebaut.

Das geplante Baugrundstück ist nahezu rechteckig geschnitten und verfügt über eine Straßenfront von ca. 13,50 m sowie eine Grundstückstiefe von ca. 21,50 m. Diese Abmessungen bieten sehr gute Voraussetzungen für eine durchdachte, moderne Grundrissgestaltung einer familiengerechten Doppelhaushälfte.

Die auf dem Grundstück befindliche Garage wird im Rahmen der Grundstücksteilung vollständig dem neu entstehenden Baugrundstück zugeordnet und ist Bestandteil des Verkaufs.

Das Grundstück liegt in einem vollständig bebauten und erschlossenen Wohnumfeld. Aufgrund der vorhandenen Straßen- und Leitungsinfrastruktur ist die Erschließung (Straßenanbindung sowie Ver- und Entsorgungsleitungen) grundsätzlich gegeben.

Die Bebauung richtet sich nach der Nachbarschaftsbebauung gemäß § 34 BauGB. Das geplante Bauvorhaben fügt sich damit harmonisch in die gewachsene Umgebung ein, die durch eine ruhige Wohnstruktur und eine überwiegend einheitliche Wohnbebauung geprägt ist.

Bei weitergehendem Interesse stehen wir Ihnen gerne für einen gemeinsamen Termin vor Ort zur Verfügung und erläutern Ihnen die Rahmenbedingungen der geplanten Grundstücksteilung sowie der baulichen Umsetzung im Detail.

WeiterlesenWeniger anzeigen

Lage

Köln-Wahn überzeugt durch seine sehr gute Verkehrsanbindung. Die Autobahnen A59 und A3 sind in wenigen Minuten erreichbar und ermöglichen eine schnelle Verbindung in die Kölner Innenstadt sowie in Richtung Bonn, Leverkusen und das gesamte Rhein-Sieg-Gebiet.
Der öffentliche Nahverkehr ist ebenfalls gut ausgebaut: Busverbindungen sowie der nahegelegene S-Bahn-Anschluss sorgen für eine komfortable Anbindung an den Kölner Hauptbahnhof und den Flughafen Köln/Bonn. Damit ist die Lage besonders attraktiv für Berufspendler.

Für Familien bietet Köln-Wahn eine sehr gute Infrastruktur. Mehrere Kindertagesstätten, Kindergärten undGrundschulen befinden sich im direkten Umfeld und sind teilweise fußläufig oder in kurzer Fahrzeit erreichbar. Weiterführende Schulen sind in den angrenzenden Stadtteilen ebenfalls gut angebunden. Die ruhige Wohnlage mit wenig Durchgangsverkehr schafft ein sicheres und angenehmes Umfeld für Kinder.

Alle Einrichtungen des täglichen Bedarfs befinden sich in komfortabler Nähe: Supermärkte, Bäckereien, Drogerien sowie Ärzte und Apotheken sind schnell erreichbar. Ergänzt wird das Angebot durch weitere Einkaufsmöglichkeiten und Dienstleister in den benachbarten Stadtteilen sowie im nahegelegenen Flughafen- und Gewerbeumfeld.

Die Umgebung bietet zahlreiche Freizeit- und Erholungsmöglichkeiten. Grünflächen, Spazier- und Radwege sowie Sportvereine laden zur aktiven Freizeitgestaltung ein. Das nahegelegene Wahner Heide-Gebiet zählt zu den beliebtesten Naherholungsgebieten im Kölner Süden und bietet Natur, Ruhe und vielfältige Outdoor-Aktivitäten – ein echter Mehrwert für Natur- und Freizeitliebhaber.

WeiterlesenWeniger anzeigen

Immobilienfinanzierung berechnen

Berechnen Sie Ihre individuellen Finanzierungskonditionen

Ähnliche Immobilien

In nur 1 Minute
 zum ersten Finanzierungsangebot

Kaufpreis
275.500 €
Provisionspflichtig
Ja
Käuferprovision
7.14%
Provisionshinweis
Die angegebene Käuferprovision (inkl. MwSt.) ist verdient und fällig mit Beurkundung des notariellen Kaufvertrages.
Sandra Wonsack

Sandra Wonsack

Exposé anfordern
ID: HA2531367

Sie wünschen mehr Informationen? Jetzt ein Exposé anfragen!