Menu
Grundstück
Fire Icon6

Außergewöhnliches Grundstück in Kelkheim-Eppenhain

Kaufpreis 480.000 €
Grundstück
ca. 482 m²

Objektbeschreibung

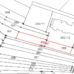
Zum Verkauf steht ein attraktives Baugrundstück in ruhiger und naturnaher Lage von Kelkheim-Eppenhain, gelegen im Ehlhaltener Weg. Das Grundstück befindet sich in einem der landschaftlich reizvollsten Ortsteile der Stadt und bietet eine seltene Kombination aus Erholung, Aussicht und Entwicklungspotenzial.

Besonders hervorzuheben ist die außergewöhnliche Lage am Rande des Taunus. Die unmittelbare Umgebung ist geprägt von weitläufigen Wäldern, Wiesen und Wanderwegen, die einen hohen Freizeit- und Erholungswert bieten. Von dem Grundstück aus eröffnet sich ein weiter, eindrucksvoller Blick in die umliegende Natur und die Taunuslandschaft, der dem künftigen Wohnobjekt eine besondere Wohnqualität verleiht.

Das Grundstück ist als Baugrundstück ausgewiesen und bietet trotz seines schmalen Zuschnitts interessante Bebauungsmöglichkeiten. Gerade diese besondere Grundstücksform macht es zu einem individuellen und architektonisch spannenden Angebot. Die derzeitige Eigentümerin hat bereits konkrete Planungen für einen möglichen Gebäudekörper erarbeiten lassen, die als wertvolle Grundlage für eine spätere Bebauung dienen können. Damit liegt bereits eine konzeptionelle Vorarbeit vor, die das Entwicklungspotenzial des Grundstücks unterstreicht.

Die ruhige Wohnlage in Eppenhain verbindet naturnahes Wohnen mit einer guten Anbindung an die umliegenden Städte. Kelkheim sowie das Rhein-Main-Gebiet sind in kurzer Zeit erreichbar, wodurch sich das Grundstück sowohl für Eigennutzer als auch für Bauherren mit langfristiger Perspektive eignet.

Insgesamt handelt es sich um ein seltenes Angebot für Bauherren, die ein besonderes Grundstück in außergewöhnlicher Lage suchen. Die Kombination aus Natur, Ausblick, Ruhe und vorhandenen Planungsideen macht dieses Baugrundstück zu einer attraktiven Gelegenheit mit individuellem Charakter und hohem Wohnwert.

WeiterlesenWeniger anzeigen

Lage

Die Ehlhaltener Straße befindet sich in Kelkheim-Eppenhain, einem der beliebtesten und landschaftlich reizvollsten Ortsteile der Stadt Kelkheim im Taunus. Die Lage zeichnet sich durch ihre ruhige, naturnahe Umgebung sowie ein gehobenes, überwiegend wohngeprägtes Umfeld aus.

Eppenhain liegt am Südhang des Taunus und ist bekannt für seine ausgezeichnete Wohnqualität, die sich aus der Kombination von frischer Höhenluft, weitläufigen Wäldern und einer gepflegten Nachbarschaft ergibt. Die Ehlhaltener Straße fügt sich harmonisch in dieses Umfeld ein und bietet ein hohes Maß an Ruhe sowie Privatsphäre. Gleichzeitig eröffnet sich von vielen Bereichen ein attraktiver Blick in die umliegende Taunuslandschaft.

Die unmittelbare Umgebung lädt zu vielfältigen Freizeitaktivitäten ein. Wander- und Radwege beginnen nahezu vor der Haustür und führen durch die angrenzenden Waldgebiete. Natur- und Erholungssuchende profitieren hier von einem Standort, der ganzjährig einen hohen Freizeitwert bietet.

Trotz der naturnahen Lage ist die infrastrukturelle Anbindung sehr gut. Die Innenstadt von Kelkheim mit Einkaufsmöglichkeiten, Schulen, Kindergärten, Ärzten und Gastronomie ist in kurzer Zeit erreichbar. Zudem besteht eine gute Verkehrsanbindung in Richtung Frankfurt am Main, Wiesbaden sowie in das gesamte Rhein-Main-Gebiet, was den Standort auch für Berufspendler attraktiv macht.

Insgesamt überzeugt die Lage durch ihre Kombination aus ruhigem Wohnen im Grünen, attraktiver Aussichtslage und gleichzeitig guter Erreichbarkeit. Die Ehlhaltener Straße in Kelkheim-Eppenhain zählt damit zu den gefragten Wohnlagen für anspruchsvolle Eigennutzer und langfristig orientierte Käufer.

WeiterlesenWeniger anzeigen

Immobilienfinanzierung berechnen

Berechnen Sie Ihre individuellen Finanzierungskonditionen

Ähnliche Immobilien

Keine ähnlichen Immobilien gefunden.

In nur 1 Minute
 zum ersten Finanzierungsangebot

Kaufpreis
480.000 €
Provisionspflichtig
Ja
Käuferprovision
5.95%
Provisionshinweis
Die angegebene Käuferprovision (inkl. MwSt.) ist verdient und fällig mit Beurkundung des notariellen Kaufvertrages.
Thorsten Schöbernig

Thorsten Schöbernig

Exposé anfordern
ID: HA2530724

Sie wünschen mehr Informationen? Jetzt ein Exposé anfragen!